login contact us
RosConcert.com HomePage
NEWS CENTRAL

News Central


Запуск шаттла отложат из-за "Катрины"
2:28PM Thursday, Sep 22, 2005
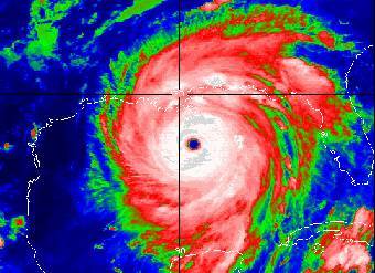
Ураган "Катрина" в инфракрасных лучах, фото с сайта Wikipedia

Ураган "Катрина" в инфракрасных лучах, фото с сайта Wikipedia
Ураган "Катрина" стал причиной того, что запуск шаттла будет в очередной раз перенесен, пишет газета Washington Times. Как сообщил Майкл Гриффин, глава космического агентства, теперь челнок сможет взлететь не раньше мая следующего года.

Завод Майхауд (Michoud Assembly Facility) в Новом Орлеане, где производятся внешние топливные баки для шаттлов, удалось спасти усилиями его сотрудников, но более трети из них остались без крова. Гриффин отметил, что если бы подача электричества была остановлена, восстановить затем производство было бы невозможно.

То же касается и Стеннисовского космического центра в штате Миссисипи. Обычно там проходят предполетные испытания космического корабля. Во время урагана в нем укрывались сотрудники NASA с семьями, и теперь многие из них, лишившись жилья, не могут вернуться к работе.

Напомним, в июле этого года после 30-месячного перерыва в космосе побывал космический челнок Discovery. За время полета эксперты обнаружили, что критические неисправности, приведшие к гибели челнока Columbia, устранить все-таки не удалось. В NASA решили внести в конструкцию корабля серьезные изменения перед новым полетом. Последний раз очередной выход в космос был назначен на март 2006 года.

По материалам lenta.ru
« « Вернуться       Далее » »
Другие новости по теме
  • Мубарак официально стал президентом в пятый раз
  • Бразильские ученые ломают голову над загадочными рисунками на листьях
  • Из-за сбоев в PayPal пользователи платят вдвое больше
  • Аутотренинг снижает уровень глюкозы при сахарном диабете!
  • Администрация США недовольна бездеятельностью Махмуда Аббаса
  • У ООН закончились деньги для Ирака
  • Ураган Рита взвинтил цены на нефть
  • В Техасе из-за "Риты" остановят ядерные реакторы
  • "Рита" заставила Буша готовиться к худшему
  • А320 со сломавшимся шасси сел в аэропорту Лос-Анджелеса
  • В Лос-Анджелесе пытаются посадить А320 со сломавшимся шасси
  • Министр общественной безопасности Мексики разбился на вертолете
  • Во Флориде разбился самолет ВМФ США
  • "Рита" превзошла "Катрину" по силе
  • В Мексике пропал самолет с министром на борту
  • АМИ "Новости-Украина" прекратили сотрудничество с РИА "Новости"

    Далее » »   Digest | Архив »    
News Central Home | News Central Resources | Portal News Resources | Help | Login
     
Phone Cards at ComFi Russian America Top. Рейтнг ресурсов Русской Америки. © 2026 RussianAMERICA Holding
All Rights Reserved • Contact